Valencia Outparcel For Sale | OKC
NW 178th St & N Pennsylvania Ave
Oklahoma City, Oklahoma 73012
Oklahoma City, Oklahoma 73012
Price
$600,000
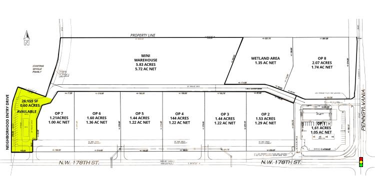
Total Square Feet
26,159
Contact
Description
Prime outparcel opportunity at NW 178th and N Pennsylvania Ave in Oklahoma City, offering exceptional visibility and high
traffic counts in a thriving retail corridor. Surrounded by a diverse mix of national and local retailers, this location
benefits from strong consumer demand and consistent foot traffic. Positioned in a rapidly growing area, the site is ideal
for QSR, retail, or service-oriented businesses looking to capitalize on the area's expanding residential and commercial development.
- Site is graded
- Access drive is constructed and available to the parcel
- All utilities are installed



